Nhận định về mức giá 7 tỷ đồng cho lô đất 82m² tại An Phú Đông, Quận 12
Mức giá 7 tỷ đồng tương đương khoảng 85,37 triệu đồng/m² đối với đất thổ cư mặt tiền đường rộng 20m, có vỉa hè, vị trí gần sông Sài Gòn tại phường An Phú Đông, Quận 12, Tp Hồ Chí Minh là mức giá khá cao nhưng không phải là không hợp lý trong bối cảnh thị trường hiện nay.
An Phú Đông là khu vực đang phát triển mạnh với hạ tầng giao thông cải thiện liên tục, có nhiều tuyến đường chính và quan trọng như Vườn Lài, cầu sắt An Phú Đông giúp kết nối thuận tiện với các quận trung tâm. Vị trí gần sông Sài Gòn cũng mang lại giá trị cảnh quan và tiềm năng phát triển bất động sản cao hơn.
Phân tích chi tiết và so sánh thị trường
| Tiêu chí | Lô đất An Phú Đông (bán 7 tỷ) | Giá đất trung bình khu vực Quận 12 (2024) | Giá đất các khu vực lân cận tương tự |
|---|---|---|---|
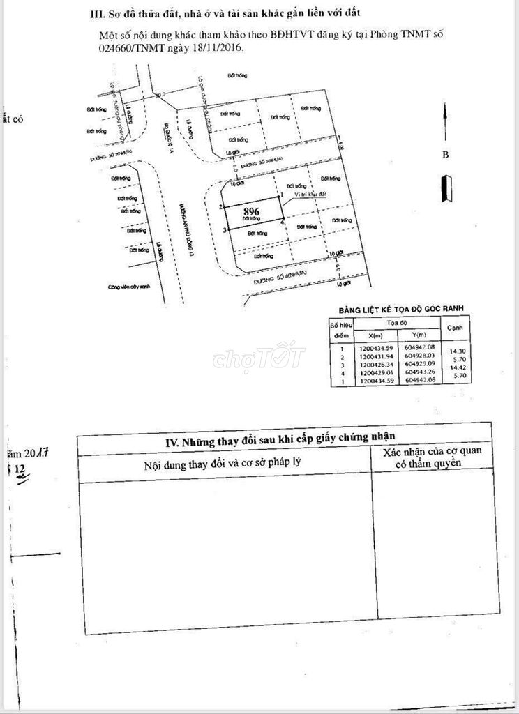
| Diện tích | 82 m² (5.7 x 14.4 m) | 70 – 90 m² | 70 – 100 m² |
| Giá/m² | 85,37 triệu/m² | 50 – 75 triệu/m² (mặt tiền đường nhỏ hoặc hẻm) | 80 – 100 triệu/m² (mặt tiền đường lớn, gần sông) |
| Vị trí | Mặt tiền đường An Phú Đông 13, đường rộng 20m, gần sông Sài Gòn | Phường An Phú Đông, Quận 12 | Các phường lân cận như Tân Thới Hiệp, Thạnh Xuân, Gò Vấp (khu vực gần sông hoặc đường chính) |
| Pháp lý | Sổ hồng riêng, xây dựng tự do | Đất thổ cư có sổ hồng | Đất thổ cư có sổ hồng |
Đánh giá và những điểm cần lưu ý khi xuống tiền
- Pháp lý rõ ràng: Sổ hồng riêng là yếu tố quan trọng giúp bạn yên tâm khi giao dịch, tránh rủi ro về tranh chấp.
- Vị trí đất: Mặt tiền đường rộng 20m, có vỉa hè thoáng là ưu điểm lớn, đặc biệt gần sông Sài Gòn tạo tiềm năng gia tăng giá trị trong tương lai.
- Khả năng xây dựng tự do: Giúp bạn dễ dàng thiết kế, xây dựng theo nhu cầu, tăng giá trị sử dụng.
- Kiểm tra quy hoạch: Nên kiểm tra quy hoạch chi tiết khu vực để tránh bị ảnh hưởng bởi các dự án công cộng hoặc quy hoạch không phù hợp.
- So sánh giá thực tế: Giá 85 triệu/m² cao hơn mức trung bình khu vực Quận 12 nhưng phù hợp với vị trí mặt tiền rộng, gần sông.
- Khả năng thương lượng: Với mức giá này, bạn nên đề xuất giá từ 6,3 – 6,7 tỷ đồng (tương đương 77 – 82 triệu/m²) để có biên độ an toàn tài chính và tăng khả năng chốt giao dịch.
Đề xuất mức giá và chiến lược thương lượng
Dựa trên phân tích, bạn có thể đề xuất mức giá 6,5 tỷ đồng (tương đương khoảng 79 triệu/m²), lý do như sau:
- Giá này vẫn nằm trong khoảng giá hợp lý cho đất mặt tiền đường lớn gần sông nhưng có biên độ tốt để thương lượng.
- Có thể dẫn chứng các lô đất tương tự trong khu vực với giá thấp hơn hoặc quy hoạch sắp tới có thể ảnh hưởng.
- Nhấn mạnh việc giao dịch nhanh, không qua trung gian, thanh toán linh hoạt để tạo thiện cảm với chủ đất.
Khi trao đổi với chủ đất, bạn nên tập trung vào các điểm sau:
- Giá thị trường hiện tại có biến động, bạn cần mức giá hợp lý để đầu tư lâu dài.
- Khả năng thanh toán nhanh, giúp chủ đất giảm bớt rủi ro và chi phí giao dịch.
- Khả năng thương lượng thêm các điều khoản như hỗ trợ làm thủ tục sang tên, hoặc giảm chi phí phát sinh.
Kết luận
Mức giá 7 tỷ đồng là mức giá cao nhưng chấp nhận được nếu bạn đánh giá cao vị trí mặt tiền rộng, gần sông và tiềm năng phát triển trong tương lai. Tuy nhiên, để đảm bảo an toàn tài chính và có cơ hội chốt giao dịch tốt hơn, bạn nên thương lượng giảm khoảng 5-8% so với giá chào bán, tức khoảng 6,3-6,7 tỷ đồng. Đồng thời, cần kiểm tra kỹ các yếu tố pháp lý, quy hoạch và hạ tầng xung quanh trước khi xuống tiền.


